Local Service Overview

Get Black Ant Extermination in Beasley, TX

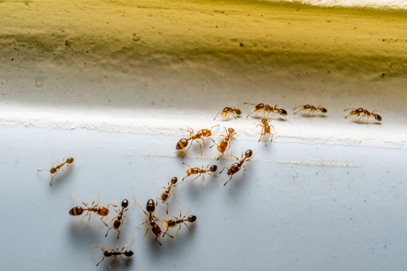
Black ant extermination services for Beasley, TX, property owners typically address ant infestations, prevent future invasions, and handle residential or commercial pest control projects.

Beasley, TX

Black ant extermination services are a practical solution for property owners in Beasley, TX seeking to maintain a comfortable and safe environment. These services help prevent infestations that can cause structural damage, contaminate food supplies, and create an uncomfortable living or working space. By addressing ant problems early, property owners can enjoy a more functional property with fewer disruptions, helping to preserve the property's integrity and reduce the need for ongoing pest management.

Choosing professional ant extermination can also enhance curb appeal and reduce long-term maintenance efforts. A well-maintained exterior free of ant colonies contributes to a tidy appearance, while effective treatment solutions promote durability by protecting structures from potential damage. Overall, these services support a safer, more inviting property that requires less frequent intervention, offering peace of mind for property owners in Beasley and surrounding areas.

Get Black Ant Extermination Quotes

  • Black Ant Extermination services are recommended for properties experiencing persistent ant infestations in Beasley, TX and surrounding areas.
  • Professional ant control may be needed when ants invade kitchens, bathrooms, or other indoor spaces.
  • Services are suitable for residential or commercial properties affected by black ant colonies in nearby communities.
  • Expert extermination can help eliminate large ant populations in outdoor yards and gardens around Beasley, TX.
  • Contact local specialists to address black ant problems that threaten the comfort and hygiene of any property.

Get Black Ant Extermination Quotes

Black Ant Extermination
Black Ant Extermination
Black Ant Extermination

Black ant extermination services are designed to eliminate infestations of black ants from residential and commercial properties. These services typically involve a thorough inspection to identify the extent of the ant problem and locate nesting sites. Treatment methods may include the application of targeted insecticides, baiting systems, and barrier treatments to prevent future invasions. The goal is to reduce or eradicate black ant populations, helping property owners regain control over their indoor and outdoor spaces.

Black ants can pose various problems for property owners, including structural damage, contamination of food supplies, and general nuisance. While black ants are generally not considered hazardous, their presence can be persistent and difficult to manage without professional intervention. Infestations often occur in kitchens, basements, gardens, or around foundations, especially in areas where food residues or moisture attract them. Professional extermination services help address these issues by providing effective solutions that minimize ongoing disruptions and prevent re-infestation.

Properties that typically utilize black ant extermination services include single-family homes, apartment complexes, restaurants, and commercial buildings. Residential properties often seek treatment to protect food storage areas and maintain hygiene standards. Businesses in the food industry or those with outdoor dining areas may also require regular pest management to comply with health regulations and ensure customer satisfaction. Additionally, properties with gardens or landscaping might need assistance in controlling outdoor ant populations that threaten plants or create unsightly trails.

Engaging with local pest control providers for black ant extermination offers a tailored approach suited to the specific needs of each property. These professionals assess the severity of the infestation, recommend appropriate treatment plans, and implement strategies to effectively eliminate black ants. By working with experienced service providers, property owners can address infestations efficiently and reduce the likelihood of future problems, ensuring a cleaner and more comfortable environment.

The overview below groups typical Black Ant Extermination projects into broad ranges so you can see how smaller, mid-sized, and larger jobs often compare in Beasley, TX.

In many markets, a large share of routine jobs stays in the lower and middle ranges, while only a smaller percentage of projects moves into the highest bands when the work is more complex or site conditions are harder than average.

Initial Inspection and Treatment - The cost for a basic black ant extermination service typically ranges from $100 to $300 for a single treatment. Prices depend on the size of the property and the severity of the infestation.

Per-Visit Service - Many providers charge between $75 and $200 per visit, with some offering multiple visits included in a package. The total cost varies based on the number of treatments needed to control the black ant problem.

Comprehensive Pest Management - Full-service extermination plans may cost between $250 and $600, covering extensive treatments and follow-up visits. These plans often target multiple pests alongside black ants.

Area-Specific Pricing - In Beasley, TX, local pros may charge around $150 to $400 for black ant extermination services, depending on property size and the complexity of the infestation. Costs can vary based on the scope of work required.

Actual totals will depend on details like access to the work area, the scope of the project, and the materials selected, so use these as general starting points rather than exact figures.

Get a Black Ant Extermination Quote

Black Ant Extermination services involve professional removal techniques to eliminate black ant infestations in residential and commercial properties. Local pest control providers can assess the extent of the problem and implement targeted solutions.

Black Ant Extermination specialists use various treatment methods, including baiting and residual insecticides, to effectively control black ant populations. These services are designed to reduce ant activity and prevent future invasions.

Black Ant Extermination providers often offer inspections to identify ant nesting sites and entry points around structures. Proper identification helps in choosing the most effective treatment approach.

Black Ant Extermination services may include ongoing monitoring and follow-up treatments to ensure the complete removal of black ants from the property. Local pros can tailor plans based on specific infestation levels.

Black Ant Extermination professionals are equipped to handle infestations in various settings, from gardens to building interiors. They employ safe, effective methods to address black ant issues.

Black Ant Extermination providers can advise on preventive measures to minimize the risk of future ant invasions. Contacting local specialists ensures tailored solutions for each property’s needs.

Black Ant Extermination

When selecting a professional for black ant extermination, it is important to consider the experience of local service providers. Homeowners should look for pros who have a proven track record in pest control, particularly with ant species common to areas like Beasley, TX. Experienced providers are often familiar with the most effective treatment methods and can address the unique conditions of each property, helping to ensure the problem is managed thoroughly.

Clear communication and well-defined written expectations are essential when working with pest control specialists. Reputable local pros typically provide detailed information about their services, including the scope of work, methods used, and any preparations needed before treatment. Having this information in writing helps homeowners understand what to expect and facilitates a smooth service process.

References from previous clients and a reputation for professionalism are valuable indicators of a trustworthy pest control provider. Homeowners are encouraged to seek out local pros who can provide reputable references or reviews from past customers. Good communication throughout the process, from initial contact to follow-up, also reflects a service provider’s reliability and commitment to customer satisfaction. It is important to remember that this platform connects users with local pest control professionals, not the contractors themselves.

Get a Black Ant Extermination Quote

Property owners in Beasley, TX use Black Ant Extermination services for practical projects around their homes and businesses. The sections below highlight everyday jobs and straightforward project options.

Black Ant Extermination
Black Ant Extermination

Black ant extermination services are often sought by property owners in Beasley, TX, facing persistent ant problems that disrupt daily activities. Whether ants are invading kitchens, pantry areas, or outdoor spaces, local pest control professionals can help identify the source of the infestation and implement targeted treatments to eliminate the colonies. Property owners may look for these services after noticing increased ant activity or discovering ant trails across their homes or yards.

In addition to immediate removal, many property owners seek black ant extermination to prevent future invasions and protect their property’s integrity. Ant infestations can sometimes indicate underlying issues, such as moisture problems or entry points, which local service providers can assess and address. Regular pest control treatments may also be considered by those aiming to maintain a pest-free environment in both residential and commercial properties.

Get a Black Ant Extermination Quote

What are signs of black ant infestations? Signs include visible trails of ants, small piles of dirt or debris near entry points, and tiny ant sightings inside the home or on outdoor surfaces.

How do extermination services typically eliminate black ants? Local service providers usually use targeted treatments such as baiting, dusts, or sprays to eliminate black ant colonies and prevent future invasions.

Are black ants dangerous or harmful? Black ants are generally not dangerous to humans, but they can cause nuisance and may contaminate food sources if they invade indoor spaces.

How can I prevent black ant infestations? Preventative measures include sealing entry points, keeping the property clean, and removing sources of food and water that attract ants.

When should I consider professional black ant extermination? Professional services are recommended if ant activity persists despite DIY efforts or if a large colony is suspected nearby.

Black Ant Extermination Solutions - Local pest control providers offer targeted treatments to eliminate black ants and prevent future infestations.

Inspection and Identification - Professionals can assess property conditions to identify ant entry points and nesting areas for effective removal.

Preventive Treatments - Service providers implement barriers and ongoing treatments to reduce the likelihood of black ant re-infestation.

Customized Pest Management Plans - Experts develop tailored strategies based on the severity of the infestation and property specifics.

Black Ant Extermination

Considering Black Ant Extermination for a property in Beasley, TX? The sections above highlight common project types, practical options, and details that often shape the scope of work.

When you are ready, use the quote form to share a few details about your project. Local pros can review the basics and respond with options that match what you have in mind.

Get a Black Ant Extermination Quote

Black Ant Extermination Quotes

Our Trusted Partners
Cantu Pest Control
Orkin
Hawx Pest Control