Local Service Overview

Get Red Ant Extermination in Katy, TX

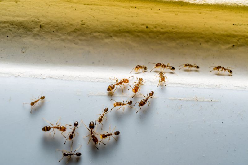
Red Ant Extermination services for Katy, TX, property owners address pest infestations such as ants, termites, roaches, and rodents through removal and prevention projects.

Katy, TX

Red ant extermination services are essential for property owners in Katy, TX seeking to maintain a comfortable and safe environment. Ant infestations can disrupt daily life, damage landscaping, and pose health concerns, making professional removal a practical choice. Local service providers offer targeted solutions that effectively eliminate ant colonies, reducing the likelihood of future invasions and helping to preserve the functionality and safety of outdoor and indoor spaces.

Choosing expert extermination services also offers benefits related to durability and curb appeal. Proper removal minimizes recurring pests, decreasing the need for ongoing maintenance and repairs. Additionally, a pest-free property enhances visual appeal, contributing to a well-maintained and inviting appearance for residents and visitors alike. Engaging experienced professionals ensures that treatments are thorough and long-lasting, supporting the overall integrity of the property.

Get Red Ant Extermination Quotes

  • Red Ant Extermination services are recommended when red ants invade residential or commercial properties in Katy, TX and surrounding areas.
  • These services are suitable for situations where red ant colonies have become large or difficult to control with DIY methods.
  • Professional extermination may be needed if red ants are causing persistent issues in lawns, gardens, or indoor spaces.
  • Red ant treatments are appropriate when ant activity is observed near foundations, entry points, or outdoor structures.
  • Contact local pest control providers to address red ant infestations and prevent future outbreaks in nearby communities.

Get Red Ant Extermination Quotes

Red Ant Extermination
Red Ant Extermination
Red Ant Extermination

Red ant extermination services focus on eradicating red ants from residential and commercial properties. These services typically involve identifying the ant colonies, locating their nests, and applying targeted treatments to eliminate the insects. Depending on the situation, providers may use baits, insecticidal sprays, or dust formulations to effectively reduce or remove red ant populations. The goal is to address the infestation at its source, preventing future invasions and minimizing the impact on the property.

Red ant problems can cause significant frustration for property owners, particularly when the ants invade kitchens, gardens, or outdoor living spaces. Their presence can lead to unsightly nests and persistent trails, disrupting outdoor activities and damaging plants or structures. In some cases, red ants may pose a risk of bites or stings to residents and visitors. Professional extermination services help resolve these issues by providing targeted treatments that eliminate the ants and their nests, reducing the likelihood of recurring problems.

The need for red ant extermination services is common across a variety of property types. Residential homes, especially those with gardens, patios, or landscaping, often experience red ant invasions. Commercial properties such as restaurants, grocery stores, and outdoor event spaces also seek pest control solutions to maintain hygiene and safety standards. Additionally, agricultural properties and parks may require ongoing pest management to prevent large-scale infestations that could affect crops or visitors.

Local service providers offer tailored red ant extermination solutions suited to the specific needs of each property. They assess the extent of the infestation, identify nesting sites, and recommend appropriate treatment options. Property owners seeking to resolve red ant issues can contact local pest control specialists to develop a plan that aims to effectively control and prevent future invasions, ensuring a safer and more comfortable environment.

The overview below groups typical Red Ant Extermination projects into broad ranges so you can see how smaller, mid-sized, and larger jobs often compare in Katy, TX.

In many markets, a large share of routine jobs stays in the lower and middle ranges, while only a smaller percentage of projects moves into the highest bands when the work is more complex or site conditions are harder than average.

Initial Inspection - The cost for a comprehensive pest inspection typically ranges from $100 to $300, depending on the property size and location. Larger or more complex properties may incur higher fees for detailed assessments.

Basic Treatment - Standard extermination services often cost between $150 and $400 for initial treatments. This includes targeting common pests like ants, spiders, or roaches in residential properties.

Full Pest Extermination - Complete pest removal for larger infestations or multiple pest types can range from $300 to $800 or more. Prices vary based on the extent of the infestation and treatment methods used.

Follow-Up Services - Follow-up treatments or ongoing pest management generally cost between $75 and $200 per visit. These ensure pests are kept under control after the initial extermination.

Actual totals will depend on details like access to the work area, the scope of the project, and the materials selected, so use these as general starting points rather than exact figures.

Get a Red Ant Extermination Quote

Ant Extermination - Local pest control providers offer services to eliminate and prevent ant infestations in residential and commercial properties.

Termite Control - Contractors specializing in termite treatments assist in protecting structures from wood-destroying insects common in the Katy area.

Carpenter Ant Management - Service providers address carpenter ant issues that can cause structural damage by implementing targeted removal strategies.

Pavement Ant Solutions - Local pros provide treatments to control pavement ant populations around foundations and outdoor areas.

Fire Ant Control - Experts offer fire ant management services to reduce the risk of painful stings and outdoor nuisance.

Odorous House Ant Removal - Service providers assist in controlling odorous house ants that can invade kitchens and living spaces.

Red Ant Extermination

When selecting a professional for red ant extermination, it is important to consider the experience of local service providers. Homeowners should look for contractors who have a proven track record in handling ant infestations, particularly those familiar with the specific challenges present in areas like Katy, TX. Experienced pros are more likely to understand the behaviors of red ants, identify the extent of the infestation accurately, and implement effective treatment strategies. Gathering information about their background and the number of similar projects completed can help in assessing their familiarity with red ant control.

Clear and written expectations are essential when working with local extermination specialists. Homeowners should seek detailed descriptions of the services provided, including the methods used, the scope of work, and any follow-up procedures. Transparent communication regarding what the service entails helps ensure that both parties share a common understanding of the process. Reputable providers typically outline these expectations upfront, reducing the potential for misunderstandings and ensuring the homeowner’s concerns are addressed effectively.

Reputation and communication are key factors in choosing a reliable local extermination professional. Homeowners can benefit from references or reviews from previous clients to gauge the quality of service and professionalism. Additionally, effective communication-prompt responses, willingness to answer questions, and clarity in conveying information-can significantly impact the overall experience. While this platform introduces local options, it is important to verify the reputation and communication style of each provider directly, to ensure they meet the homeowner’s standards for trustworthiness and responsiveness.

Get a Red Ant Extermination Quote

Property owners in Katy, TX use Red Ant Extermination services for practical projects around their homes and businesses. The sections below highlight everyday jobs and straightforward project options.

Red Ant Extermination
Red Ant Extermination

Red ant extermination services are often sought by property owners in Katy, TX who notice persistent ant activity around their homes or businesses. These insects can invade indoor spaces, especially during warmer months, and may become a nuisance or cause property damage if not addressed promptly. Local pest control providers offer targeted treatments to eliminate ant colonies and prevent future infestations, helping property owners maintain a comfortable and pest-free environment.

In addition to visible ant problems, property owners may turn to extermination services for preventative measures after noticing signs of ant trails or increased activity near foundations, gardens, or trash areas. Red ants, in particular, can pose concerns due to their aggressive nature and potential to sting. Engaging local professionals for effective removal can help mitigate these issues and protect the property from ongoing ant-related concerns.

Get a Red Ant Extermination Quote

How do I know if I have a red ant infestation? Signs of a red ant infestation include visible ants indoors or outdoors, trails leading to nests, and small piles of soil or debris near entry points.

What methods do extermination services use to eliminate red ants? Local service providers typically use targeted treatments such as baiting, residual sprays, and dust applications to control red ant populations.

Are red ant treatments safe for pets and children? Most extermination methods are designed to minimize risks, but it's advised to discuss safety concerns with the service provider before treatment.

How long does a typical red ant extermination process take? The duration varies depending on the extent of the infestation, but most treatments can be completed within a few hours.

Will I need follow-up treatments after the initial extermination? Follow-up treatments may be recommended by local pros to ensure complete control and prevent future infestations.

Red Ant Extermination Techniques - Local pest control providers can implement targeted methods to effectively eliminate red ants from residential and commercial properties.

Preventive Red Ant Control - Service professionals offer strategies to reduce red ant activity and prevent future infestations through sanitation and barrier treatments.

Red Ant Inspection Services - Experts can assess property conditions to identify red ant nesting sites and recommend appropriate treatment plans.

Red Ant Removal Solutions - Local contractors provide removal services to safely and thoroughly eliminate red ant colonies from affected areas.

Red Ant Extermination

Considering Red Ant Extermination for a property in Katy, TX? The sections above highlight common project types, practical options, and details that often shape the scope of work.

When you are ready, use the quote form to share a few details about your project. Local pros can review the basics and respond with options that match what you have in mind.

Get a Red Ant Extermination Quote

Red Ant Extermination Quotes

Our Trusted Partners
Cantu Pest Control
Orkin
Hawx Pest Control